SiTECH3DStudio Vol.42
どもサイテリストぱんだ🐼です。
さて、今回はサイテック3Dスタジオです。
まずはこちら

この画像を説明すると舗装の所に、歩車道境界ブロックを囲む様に設置。
んでもってその中にハンドホール。蓋は丸型。
んで、歩車道境界ブロックで囲んだ場所はコンクリート仕上げ。
歩車道境界ブロック、ハンドホール蓋はSiTE-STRUCTUREで作成。
舗装面、コンクリート仕上げはSiTECH3DStudio
この情報だけでそれヤバく無い??って思った方はかなりのSiTECH3DStudio使いです。
では、透過ONしてみます👀

そーなるよね💧
そうなんです、丸い蓋と歩車道境界ブロックをSiTECH3DStudioでコツコツと多角形指定で面を作成しました😭
もうね、何百回Clickした事か😥
人差し指つります(笑)
さて。このClick嵐の面が必要?
施工に関して言えば全く必要有りません!
ハンドホールの位置と高さ。
歩車道境界ブロックの位置と高さがあれば後は天端合わせてコンクリート打設です。なのでこんな面なんて全く必要有りません!
次にCIMモデルでは絶対必要です。
面が無ければその部分は暗闇なのでCIMの意味が有りません!
これが施工とCIMモデルの違いですね。
施工に意味が無い!必要無い!余り必要無い!部分まで作るのがCIMモデルですね。
そしてこの様なCIMモデルを作成しても細部ゆんですかね、細かい所を見るのは一瞬です。目立ちません。
ただ、暗闇だと目立ちます。
なんかね〜何時間もかけて作成しても報われ無いよね〜⤵️⤵️⤵️
まぁ〜暇人やからえんですけどね(笑)
ではでは、本日もご安全に👷♀
さて、今回はサイテック3Dスタジオです。
まずはこちら

この画像を説明すると舗装の所に、歩車道境界ブロックを囲む様に設置。
んでもってその中にハンドホール。蓋は丸型。
んで、歩車道境界ブロックで囲んだ場所はコンクリート仕上げ。
歩車道境界ブロック、ハンドホール蓋はSiTE-STRUCTUREで作成。
舗装面、コンクリート仕上げはSiTECH3DStudio
この情報だけでそれヤバく無い??って思った方はかなりのSiTECH3DStudio使いです。
では、透過ONしてみます👀

そーなるよね💧
そうなんです、丸い蓋と歩車道境界ブロックをSiTECH3DStudioでコツコツと多角形指定で面を作成しました😭
もうね、何百回Clickした事か😥
人差し指つります(笑)
さて。このClick嵐の面が必要?
施工に関して言えば全く必要有りません!
ハンドホールの位置と高さ。
歩車道境界ブロックの位置と高さがあれば後は天端合わせてコンクリート打設です。なのでこんな面なんて全く必要有りません!
次にCIMモデルでは絶対必要です。
面が無ければその部分は暗闇なのでCIMの意味が有りません!
これが施工とCIMモデルの違いですね。
施工に意味が無い!必要無い!余り必要無い!部分まで作るのがCIMモデルですね。
そしてこの様なCIMモデルを作成しても細部ゆんですかね、細かい所を見るのは一瞬です。目立ちません。
ただ、暗闇だと目立ちます。
なんかね〜何時間もかけて作成しても報われ無いよね〜⤵️⤵️⤵️
まぁ〜暇人やからえんですけどね(笑)
ではでは、本日もご安全に👷♀
SiTECH3D Vol.131
どもサイテリストぱんだ🐼です。
今回はこーゆい内容なので上手く説明出来るかどうか分かりませんがいってみます✋
まずはこちら

左側が二次製品のBoxです。
右側の透けてるのが現場打ちBoxです。
分かりにくいですが、二次製品のBoxを巻き込む様に現場打ちを行います。
よくある工法?施工方法ですね。
では、この施工順序としては二次製品のBoxの据付後、現場打ちBoxの施工になります。そら当然巻き込むのだから✋
では、位置出し、丁張りはどうなるか?
二次製品のBoxは丁張りを設置して据付なので使うのはどこでも丁張り。
現場打ちのBoxは丁張りでは無く、位置出しになるのでCAD測設。
どこでもスライスっちゅ〜手もありますが😄
さて。ぱんだが一番大事にしてるのは快測ナビを使用する際にいかに
使う時に見やすく!
使う時に分かりやすく!
使う時に手間をかけない!
これが基本です。
幾ら拘って拘って、細部まで表現してもそれは現場に無くても良いデータも有ります!
って、色々拘って作ってるぱんだが言う事か(笑)
いやいや!間違っちゃ駄目なが、拘ってるのは快測ARやCIMであって、快測ナビ用の施工データはそんなに拘って作ってません!
作ったの所で活用しない!必要無いから!
必要な部分、気にしないとあかん部分、そんな所は余分であっても拘って作成します🙅
これを基本に施工用データを作成します。
また、どこを先に施工するかも考えます。
この現場の場合先に二次製品のBoxを先に施工するので大事なのはBoxのSTART位置!現場打ちのBoxは出来てる二次製品のBoxに合わせます。
そーなると!こーなる!

二次製品のBoxのSTART位置をどこでも丁張りで出せる様にしておきます。
そうなると現場打ちBoxは当然ながら
(青丸の所)現場打ちBoxのSTART位置や形状は巻き込む所なのでデータは存在しません!
いやいや!そんな風にせんでも現場打ちBoxの所を別な横断で作成したらえーやん(笑)
それか計画層を別に分けたらえーやんって(笑)
ってなりますよね。
それはごもっともです👍
でもね、考えてみて。
現場打ちBox施工する時に二次製品Boxを先に据えてるんだから入り込みしろを確保した所が現場打ちBoxSTARTやん✋
ならデータ無くてもえ〜やん😅
そらあった方がベストなんやろうけど👊
そんなこんなでぱんだのデータはこう。

横断は1つ!
計画層は構造物と床付野2つ。
シンプル!
では、続いて

別な方が作成したデータ。
横断を現場打ちBox、二次製品Boxと分けて作成してるので入り込みしろの部分もきちんと表現出来てます。
そして今後床掘のデータがを作成してくると思いますがその際にこの横断毎に床掘データを計画層に入れてくると思います。多分😅✋
先程書きましたが、ぱんだは横断1つなので快測ナビで作業する時に選ぶ路線は1つ。
床掘の際は計画層で床掘選択
二次製品Box施工の際は構造物って名前の計画層。
これだけです。何も迷いません。路線切り替える必要も有りません。
別な方が作ったデータでは床掘の時に二次製品と現場打ちで路線を切り替える必要があります。
また、二次製品Box施工の際は二次製品Box用の路線選択、現場打ちの場合は現場打ちの路線を選択する必要があります。
これは基本的な!教科書の様なデータ作成なのでこの方法が正解と思います。
ただ、ぱんだは変人?ひねくれ者なので、床掘してる途中で路線は変えたくない!1つの路線で完結したい!そんな考えで作成します(笑)
そして一番大事なのがこのデータでぱんだ以外の人が快測ナビを使って施工する事です。なのでシンプルに。簡単に。
まぁ〜あくまでぱんだはバックアップ用のデータなので、誰も使わないんですけどね〜(笑)
別な方が作成したデータで現場は進んで行くと思います⤴️
うーん。何が言いたかったか説明が下手くそなので申し訳有りません。
SiTECH3Dのデータ作成は色んな方法があります。
何が必要で不必要か、どう表現するか、どう作成するか。
困った場合はサポート☎です。
トレーナーの方が皆さんからの電話待ってます👍
ぱんだの様な独学のデータは絶対やめときましょう🙆
ではでは、本日もご安全に👷♀
今回はこーゆい内容なので上手く説明出来るかどうか分かりませんがいってみます✋
まずはこちら

左側が二次製品のBoxです。
右側の透けてるのが現場打ちBoxです。
分かりにくいですが、二次製品のBoxを巻き込む様に現場打ちを行います。
よくある工法?施工方法ですね。
では、この施工順序としては二次製品のBoxの据付後、現場打ちBoxの施工になります。そら当然巻き込むのだから✋
では、位置出し、丁張りはどうなるか?
二次製品のBoxは丁張りを設置して据付なので使うのはどこでも丁張り。
現場打ちのBoxは丁張りでは無く、位置出しになるのでCAD測設。
どこでもスライスっちゅ〜手もありますが😄
さて。ぱんだが一番大事にしてるのは快測ナビを使用する際にいかに
使う時に見やすく!
使う時に分かりやすく!
使う時に手間をかけない!
これが基本です。
幾ら拘って拘って、細部まで表現してもそれは現場に無くても良いデータも有ります!
って、色々拘って作ってるぱんだが言う事か(笑)
いやいや!間違っちゃ駄目なが、拘ってるのは快測ARやCIMであって、快測ナビ用の施工データはそんなに拘って作ってません!
作ったの所で活用しない!必要無いから!
必要な部分、気にしないとあかん部分、そんな所は余分であっても拘って作成します🙅
これを基本に施工用データを作成します。
また、どこを先に施工するかも考えます。
この現場の場合先に二次製品のBoxを先に施工するので大事なのはBoxのSTART位置!現場打ちのBoxは出来てる二次製品のBoxに合わせます。
そーなると!こーなる!

二次製品のBoxのSTART位置をどこでも丁張りで出せる様にしておきます。
そうなると現場打ちBoxは当然ながら
(青丸の所)現場打ちBoxのSTART位置や形状は巻き込む所なのでデータは存在しません!
いやいや!そんな風にせんでも現場打ちBoxの所を別な横断で作成したらえーやん(笑)
それか計画層を別に分けたらえーやんって(笑)
ってなりますよね。
それはごもっともです👍
でもね、考えてみて。
現場打ちBox施工する時に二次製品Boxを先に据えてるんだから入り込みしろを確保した所が現場打ちBoxSTARTやん✋
ならデータ無くてもえ〜やん😅
そらあった方がベストなんやろうけど👊
そんなこんなでぱんだのデータはこう。

横断は1つ!
計画層は構造物と床付野2つ。
シンプル!
では、続いて

別な方が作成したデータ。
横断を現場打ちBox、二次製品Boxと分けて作成してるので入り込みしろの部分もきちんと表現出来てます。
そして今後床掘のデータがを作成してくると思いますがその際にこの横断毎に床掘データを計画層に入れてくると思います。多分😅✋
先程書きましたが、ぱんだは横断1つなので快測ナビで作業する時に選ぶ路線は1つ。
床掘の際は計画層で床掘選択
二次製品Box施工の際は構造物って名前の計画層。
これだけです。何も迷いません。路線切り替える必要も有りません。
別な方が作ったデータでは床掘の時に二次製品と現場打ちで路線を切り替える必要があります。
また、二次製品Box施工の際は二次製品Box用の路線選択、現場打ちの場合は現場打ちの路線を選択する必要があります。
これは基本的な!教科書の様なデータ作成なのでこの方法が正解と思います。
ただ、ぱんだは変人?ひねくれ者なので、床掘してる途中で路線は変えたくない!1つの路線で完結したい!そんな考えで作成します(笑)
そして一番大事なのがこのデータでぱんだ以外の人が快測ナビを使って施工する事です。なのでシンプルに。簡単に。
まぁ〜あくまでぱんだはバックアップ用のデータなので、誰も使わないんですけどね〜(笑)
別な方が作成したデータで現場は進んで行くと思います⤴️
うーん。何が言いたかったか説明が下手くそなので申し訳有りません。
SiTECH3Dのデータ作成は色んな方法があります。
何が必要で不必要か、どう表現するか、どう作成するか。
困った場合はサポート☎です。
トレーナーの方が皆さんからの電話待ってます👍
ぱんだの様な独学のデータは絶対やめときましょう🙆
ではでは、本日もご安全に👷♀
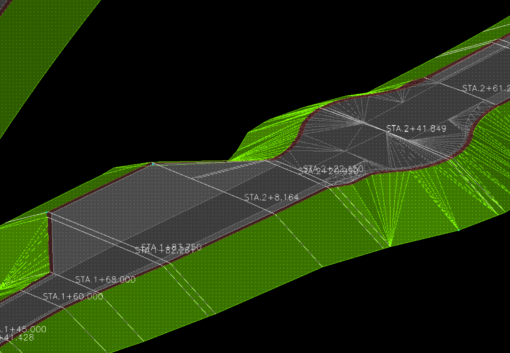
SiTECH3DStudio Vol.41
どもサイテリストぱんだ🐼です。
またまた、新しい依頼です。
ありがだい事です⤴️遊ばしてはくれません😅
まずはこちら

SiTECH3Dのデータです。
SiTECH3Dは路線に依存するので、変則的な横断や構造や形状には対応しません。
ただ、変則的な場合はその変則的な形状に合わせて路線を複数作成すればどうにかなる場合とならない場合が有ります。
丁張りや位置出しを行う場合には、どんな形状だったとしても無理くり作成しますが。
そうでない場合、たとえばMCやMGの場合、またどこでもサーフェス等で回避出来る場合は無理くり作りません✋
拘って作るのも構いませんがそんな所に時間は費やせません👍
この辺は経験が必要な事かと思います。
では、サーフェス等で回避出来るとした場合にはどうするか!
それがこちら

見比べて頂けたら分かると思いますが、右側の所で丸い法肩になっていると思います。
これはSiTECH3DStudioで作成ゆんですかね、SiTECH3DのデータをベースにSiTECH3DStudioで修正、作成したデータです。
頼まれたのは丁張りデータでは無く完成モデル?施工用の確認モデルなのでSiTECH3DとSiTECH3DStudioのハイブリッドで作成しました🙆
まぁ〜SiTECH3Dでも作成出来ない事は無いですが、元となる線形から肩の高さを計算して新たに肩にRの入った別の線形を組めばえんですけど💧
単一なRでは無く何かややこしそうなのでSiTECH3DStudioを使用しました😁
この様にとりあえず作成する場合はSiTECH3DStudio便利ですね🎵
更に便利なのがSiTECH3DStudioプラスなんでしょうね⤴️
持ってませんが(笑)
さぁ〜まだまだこれから構造物作成しないと🙅
ではでは、本日もご安全に👷♀
またまた、新しい依頼です。
ありがだい事です⤴️遊ばしてはくれません😅
まずはこちら

SiTECH3Dのデータです。
SiTECH3Dは路線に依存するので、変則的な横断や構造や形状には対応しません。
ただ、変則的な場合はその変則的な形状に合わせて路線を複数作成すればどうにかなる場合とならない場合が有ります。
丁張りや位置出しを行う場合には、どんな形状だったとしても無理くり作成しますが。
そうでない場合、たとえばMCやMGの場合、またどこでもサーフェス等で回避出来る場合は無理くり作りません✋
拘って作るのも構いませんがそんな所に時間は費やせません👍
この辺は経験が必要な事かと思います。
では、サーフェス等で回避出来るとした場合にはどうするか!
それがこちら

見比べて頂けたら分かると思いますが、右側の所で丸い法肩になっていると思います。
これはSiTECH3DStudioで作成ゆんですかね、SiTECH3DのデータをベースにSiTECH3DStudioで修正、作成したデータです。
頼まれたのは丁張りデータでは無く完成モデル?施工用の確認モデルなのでSiTECH3DとSiTECH3DStudioのハイブリッドで作成しました🙆
まぁ〜SiTECH3Dでも作成出来ない事は無いですが、元となる線形から肩の高さを計算して新たに肩にRの入った別の線形を組めばえんですけど💧
単一なRでは無く何かややこしそうなのでSiTECH3DStudioを使用しました😁
この様にとりあえず作成する場合はSiTECH3DStudio便利ですね🎵
更に便利なのがSiTECH3DStudioプラスなんでしょうね⤴️
持ってませんが(笑)
さぁ〜まだまだこれから構造物作成しないと🙅
ではでは、本日もご安全に👷♀
SiTE-STRUCTURE Vol.64
どもサイテリストぱんだ🐼です。
さて、今回は前回の続きです。

作っちゃいました(笑)
門扉😄
拡大してみます


う〜ん。自分で言うのもなんですが、細部まで作り込んでますね〜。
作り込む=暇人=現場にはほぼ必要無い。
って事です。
ここまで作り込んでも全く現場の施工には意味が有りません😅
こんなモデル無くても作業は出来ます😵
大事なのは、現場に必要なデータを作成する事です👊
言ってる事とやってる事が矛盾してますね😅
前回も書きましたが、SiTE-STRUCTUREはここまで出来ますよ✋って事で💪
ではでは、本日もご安全に👷♀
さて、今回は前回の続きです。

作っちゃいました(笑)
門扉😄
拡大してみます


う〜ん。自分で言うのもなんですが、細部まで作り込んでますね〜。
作り込む=暇人=現場にはほぼ必要無い。
って事です。
ここまで作り込んでも全く現場の施工には意味が有りません😅
こんなモデル無くても作業は出来ます😵
大事なのは、現場に必要なデータを作成する事です👊
言ってる事とやってる事が矛盾してますね😅
前回も書きましたが、SiTE-STRUCTUREはここまで出来ますよ✋って事で💪
ではでは、本日もご安全に👷♀
SiTE-STRUCTURE Vol.63
どもサイテリストぱんだ🐼です。
またやっちゃいました⤴️
何を??失敗したの??
ちゃいます💧失敗はしょっちゅうなので失敗談をあげてたら毎日更新になっちゃいます(笑)
やっちゃったのはこちら

何気ないフェンスです🙆
しかーーーーし!!!
そんじゃそこらのフェンスではありません!
見て見て見て👀

アハハハ😆😆
やり過ぎ(笑)
更に

もー暇人(笑)
ここまで来たら留め具のボルトまで作ったらってなりますよね😅
今回はボルトは見送りです💨💨
さて、こんなに拘って作っても全くなんの意味も有りません✋
時間はかかるし幾らモデル化して軽量化してもサイズは肥大化しませんが、表示には時間がかかります🙅
それにね、こんな所拘って作ってもだーれも見ません😂
ただの自己満足です🎵
では、なぜ作ったのか!!
それはSiTE-STRUCTUREの良さを伝える為です✋
いやいや、そんなんせんでも良さは皆知ってるし、KENTEMさんが情報発信してるし⤴️
おっと!それを言っちゃおしまいですやん🙅
まぁ!どこかでこのモデルの写真がネットに引っ掛かる事を願います😱
SiTE-STRUCTURE便利やし楽しいですよ〜😁
中毒性かなり有りです✨
ではでは、本日もご安全に👷♀
またやっちゃいました⤴️
何を??失敗したの??
ちゃいます💧失敗はしょっちゅうなので失敗談をあげてたら毎日更新になっちゃいます(笑)
やっちゃったのはこちら

何気ないフェンスです🙆
しかーーーーし!!!
そんじゃそこらのフェンスではありません!
見て見て見て👀

アハハハ😆😆
やり過ぎ(笑)
更に

もー暇人(笑)
ここまで来たら留め具のボルトまで作ったらってなりますよね😅
今回はボルトは見送りです💨💨
さて、こんなに拘って作っても全くなんの意味も有りません✋
時間はかかるし幾らモデル化して軽量化してもサイズは肥大化しませんが、表示には時間がかかります🙅
それにね、こんな所拘って作ってもだーれも見ません😂
ただの自己満足です🎵
では、なぜ作ったのか!!
それはSiTE-STRUCTUREの良さを伝える為です✋
いやいや、そんなんせんでも良さは皆知ってるし、KENTEMさんが情報発信してるし⤴️
おっと!それを言っちゃおしまいですやん🙅
まぁ!どこかでこのモデルの写真がネットに引っ掛かる事を願います😱
SiTE-STRUCTURE便利やし楽しいですよ〜😁
中毒性かなり有りです✨
ではでは、本日もご安全に👷♀
なんだかな〜
どもぱんだです。
今回は文字だけの記事です。
最近思ってるのがなんだかな〜🌀です。
少し前に記事にしましたが、受注してから着工前までに完成イメージをSiTE-STRUCTUREで作成し依頼主へ送付します。
時にはSiTECH3Dでも作成します。
そしてそのモデルは図面に不整合があったとしてもなるべく忠実に再現しモデリング行います。
そうする事で不具合箇所、不整合箇所が分かります。
そしてその不整合、不具合箇所は依頼主へ3Dモデルで説明?書き込み?引き出し??等を行います。
問題はその後です。
データを送って、少し話をしたらそこで終わりなんです😥
恐らくそのモデルを見ながら色々と検討や仮設などを考えて居るとは思います🌀
依頼された物を送ったらそれで終わり。
その後そのデータはどうなってるか私には分かりません🌀🌀
依頼してくる企業はSiTECH3Dや快測ナビを所有しているので、その後は自社でデータ作成〜位置出し〜施工を行っていると思います。
少し前ならSiTECH3Dと快測ナビをつかって現場の位置出しや丁張りを頼まれたり、快測ナビのレクチャー等を頼まれ居ましたが、最近はほぼ頼まれません。
呼ばれません💧
言葉を返せばその企業のスキルが上がってるって事ですよね🙆
それはとても良い事です⤴️
が!それはその企業には、もうぱんだが必要無い?って事です⤵️
今、お世話になってる元請けの会社でも若手に全て教えたので私は今いる現場ではほぼ何もしていません(笑)
教える、育てる=ある意味自分で自分の居場所や首を絞める行為かも知れません😅
さぁ〜そうなると、ある意味潮時かなとも😭
今はほぼ必要とされる人材では無いので、更に自分のスキルを高めて必要とされる人材、依頼される人材にならないとね😣
って、何をどうスキルを高めようかな🌀
ではでは、少し愚痴っぽくなっちゃいましたが本日もご安全に👷♀
今回は文字だけの記事です。
最近思ってるのがなんだかな〜🌀です。
少し前に記事にしましたが、受注してから着工前までに完成イメージをSiTE-STRUCTUREで作成し依頼主へ送付します。
時にはSiTECH3Dでも作成します。
そしてそのモデルは図面に不整合があったとしてもなるべく忠実に再現しモデリング行います。
そうする事で不具合箇所、不整合箇所が分かります。
そしてその不整合、不具合箇所は依頼主へ3Dモデルで説明?書き込み?引き出し??等を行います。
問題はその後です。
データを送って、少し話をしたらそこで終わりなんです😥
恐らくそのモデルを見ながら色々と検討や仮設などを考えて居るとは思います🌀
依頼された物を送ったらそれで終わり。
その後そのデータはどうなってるか私には分かりません🌀🌀
依頼してくる企業はSiTECH3Dや快測ナビを所有しているので、その後は自社でデータ作成〜位置出し〜施工を行っていると思います。
少し前ならSiTECH3Dと快測ナビをつかって現場の位置出しや丁張りを頼まれたり、快測ナビのレクチャー等を頼まれ居ましたが、最近はほぼ頼まれません。
呼ばれません💧
言葉を返せばその企業のスキルが上がってるって事ですよね🙆
それはとても良い事です⤴️
が!それはその企業には、もうぱんだが必要無い?って事です⤵️
今、お世話になってる元請けの会社でも若手に全て教えたので私は今いる現場ではほぼ何もしていません(笑)
教える、育てる=ある意味自分で自分の居場所や首を絞める行為かも知れません😅
さぁ〜そうなると、ある意味潮時かなとも😭
今はほぼ必要とされる人材では無いので、更に自分のスキルを高めて必要とされる人材、依頼される人材にならないとね😣
って、何をどうスキルを高めようかな🌀
ではでは、少し愚痴っぽくなっちゃいましたが本日もご安全に👷♀






